Meet the new DarkStar babies!! 
![]() |
|
![]() |
Two Black & Tan boys and three Black & Tan girls arrived in the evening of November 14th!
To see the puppies' pedigree click here:
![]() Birdie is starting to nest - making a mess of the numerous dog beds in the house! |
![]() She seems to like the whelping box, and finds it pretty comfortable. (for now, anyway!) |
![]() The sonogram at 28 days shows 4 or 5 babies. When I asked the doctor what colors and genders she saw, she snorted (!), then said "Grayish, and boys or girls".. hurrumph!! |
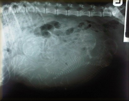
![]() A radiograph the week prior to whelping shows a few more babies! The doctor didn't give me any better answer on colors and genders. And I'd thought it was really exceptional diagnostic equipment, silly me! |
![]() Awfully comfortable.... |
![]() Awfully cute! |
![]() HelloooOOO? Are you awake? |
![]() Well, now that you are awake, let's make sure you are clean! |
![]() They have very good appetites |
![]() And rather FULL tummies! |
![]() Grandpa JoJo REALLY wants to get in to visit! |
![]() That didn't take long - JoJo jumped into the whelping box at the first unsupervised opportunity!! He SO loves the babies, but it worries Birdie that her dad just jumps into the box without so much as a "pretty please"!! |
![]() Gee, have they grown?!? |
![]() Wow, this is tiring work! |
![]() A pile of puppies perchance a perfect pillow? |
![]() Baby thinks MUM makes the perfect pillow! |
![]() Milk moustache! |
![]() Another milk moustache! |
![]() Enjoying the goat milk snack... |
![]() lip-smacking good! |
![]() A set of book-ends?!? |
![]() Grandpa JoJo LOVES his grandpuppies - kiss, kiss! |
![]() Cute buddies |
![]() :-p~~ TUMMY BUBBLES!! |
![]() Their first non-mom dinner |
![]() They're really getting into it! |
![]() Wearing our dinner |
![]() Wooo Wooo! |
![]() Hmm it's a big world out there! |
![]() Escape is always possible; maybe with a big jump? |
| I will add more photos later, but had to share this riotous video!! Brittany is home for the week, following knee surgery, but was still on the floor in the kitchen playing with the puppies, you must watch - at least a few times!! |
![]() Brittany video-ing the 'attack'! |
|
I will continue to add more photos as the babies grow! :-) | |
3> Visit the 28 January '08 litter - that's Birdie and her littermates!2>
3> Visit the last litter.2>
ALL PHOTOS ARE COPYRIGHTED, PLEASE DO NOT EVEN THINK OF COPYING!! Please respect the copyrights of every website you visit!
Special thanks to "Bibben" and "Ronja"


Go to Birdie's page!
Go to Vegas's page!
Go to Stella's page!


2011 S. L. Reiley-Lince - all rights reserved.
for permission to use their darling Cavalier graphics!
3>Due to all the email harvesting and subsequent spam I receive, I no longer have a hyperlink! Please copy & type my e-address to contact me! Thanx...2>
>

